SHARM EL SHEIK dal 30-12-05 al 06-01-06
di Pier-Alberto Ottonello piertennis@libero


1° giorno
Oggi 30 dicembre 2005 io e la mia compagna Paola partiamo per festeggiare il capodanno verso una meta molto comune: Sharm El Sheik, ma non per questo meno bella!
Solitamente andiamo in posti di mare un po’ più esotici e meno frequentati dal turismo di massa, ma quest’anno per vari motivi ci siamo concentrati su Sharm, speranzosi di trovare comunque caldo, anche se non le classiche temperature tropicali e poter fare un po’ di snorkelling che è la nostra attività preferita quando siamo in vacanza al mare.
Partenza alle 7:00 da Milano Malpensa, questo ha significato svegliarsi circa alle 2:00 per poter essere al check in tempo e cioè circa alle 5:00, partendo da Genova; notare che il volo era stato prenotato per le 8:00 di mattina. ma un paio di giorni prima una voce amica della Teorema ci annunciava che il volo era stato anticipato di un’ora: ho subito pensato “meglio, così riusciamo a  goderci un po’ di mare anche il 1° giorno”.
Arriviamo a Malpensa leggermente in ritardo, trafelati e ghiacciati, il parcheggio era a temperature polari –8°. Finalmente scoperto dov’era il banco della Teorema ci siamo trovati di fronte a un serpentone umano immane: ci siamo guardati in volto e contemporaneamente abbiamo guardato l’orologio, il commento all’unisono è stato: “ce la faremo a prendere l’aereo?” Ci riusciamo, appena in tempo, ma sul più bello l’aereo non parte e accumula 1 ora di ritardo, partiremo alle 8:00 (l’ora originale), pare a causa di un muletto che si era guastato e doveva spostare l’aereo della Blu Teorema, secondo me perché c’era troppa ressa. L’aereo era poi abbastanza piccolo, pur essendo un boeing 737 e aveva tre sedili per fila sia lato dx, che lato sx, non aveva la fila centrale, ma solo uno stretto corridoio e lo spazio era ridottissimo, ci sentivamo pigiati come sardine in scatola, specie io che ero dal lato del finestrino e che se volevo alzarmi dovevo scomodare ben due persone che a loro volta rischiavano di finire in braccio a quelli dell’altra fila. La navigazione in volo è pressoché tranquilla, ma scopriamo durante il viaggio, che l’aereo avrebbe fatto scalo a Marsa Alam, per poi decollare nuovamente alla volta di Sharm. Per farla breve un volo che normalmente dura 5 ore e un quarto, compresa l’ora di fuso, a noi è durato ben 7 ore e mezza. Stanchi e un po’ incavolati scendiamo dall’aereo e sbrighiamo le formalità di frontiera, a dire il vero anche piuttosto velocemente, recuperiamo i bagagli e cerchiamo il nostro Bus. L’addetto Teorema ci indirizza verso un piazzale dove ce n’erano parecchi e ci dice di scegliere il n° 5 quello che portava al villaggio BLU CONRAD, la meta della nostra vacanza. Durante quel breve tragitto scansiamo un paio di locali che ci volevano portare le valigie, finchè alla fine uno c’è riuscito strappandomele di mano e facendosi dare 4 €!?! per poi, “INCREDIBILE”, abbandonarmi le valigie dopo 4 metri per andare a turlupinare altri sventurati, non esagero: 1 € a metro NON C’E’ MALE. Ovviamente poi le valigie le ho caricate io!!!!! Dopo 20’ di percorso tranquillo arriviamo finalmente al Blu Conrad. Da come me l’avevano spiegato a prima vista (ma solo a prima vista) sembra meno bello. Altra trafila di quasi un’ora, erano  due sole recptioniste a fronte di più di 100 nuovi arrivi, e noi accompagnati da un vento che promette poco di buono scambiamo 4 parole con gli animatori del posto che si affannavano a dire che la temperatura oscillava tra 25 e 28° e che si il 25 e 26 dicembre c’era stato un  freddo inusuale, ma che ora le cose si stavano assestando, a me e Paola non sembrava proprio. Non ci sbattiamo per fare i primi a tutti i costi nella fila per l’assegnazione delle camere, non è nelle nostre caratteristiche, e con una situazione che più classicamente non si può, ci troviamo immersi nel proverbio “Chi tardi arriva, male alloggia”. E ce ne siamo accorti appena varcata la soglia della nostra camera: elenco l’ordine dei problemi (nota BLU CONRAD = 5 stelle):
1. la struttura è sistemata in modo che avvolge a semicerchio tutta la spiaggia per cui o un po’ più in alto, o un po’ più in basso, più a dx o più a sx pensavamo di godere della vista mare, niente di tutto questo: vista e praticamente a contato diretto (massimo 10 mt) con il campo da calcetto/basket del villaggio, con partite e allenamenti in corso (sai che privicy);
2. niente acqua in camera;
3. niente asciugamani in camera. Ci dicono che è solo un problema temporaneo, nel giro di una ora avrebbero sistemato tutto. Andiamo a fare un giro sulla spiaggia e qui la situazione è decisamente più carina, due foto sul molo e poi di nuovo in camera per la tanto sospirata doccia.
4. c’è l’acqua, ALLELUIA, ma guarda te è fredda, proviamo e riproviamo, ma è sempre fredda;
5. ovviamente gli asciugamani non ci sono, di solito li portiamo sempre, ma questa volta ce li avevano proprio assicurati per cui ne ho messo uno solo in valigia all’ultimo momento, della serie non si sa mai. Infatti doccia fredda e ci asciughiamo con l’unico asciugamano  in due.
Ovviamente dopo la doccia andiamo a protestare, consolazione magra: non eravamo soli, ci dicono che le camere sono state assegnate casualmente!?! E che per un paio di giorni proprio non si potrà fare niente a parte gli asciugamani in camera, che alla buon’ora dopo cena li abbiamo trovati. Cena devo dire abbondante e varia. Più che buona. Qui termino il racconto perché poi stanchi siamo andati a letto.
Non c’è male per essere la 1^ giornata di Vacanza.


2° giorno
Devo subito dire che il 2° giorno è andato molto meglio (peggio era quasi impossibile), forse perché era il 31 Dicembre o molto più probabilmente perché Sharm si è presentata in tutto il suo splendore.
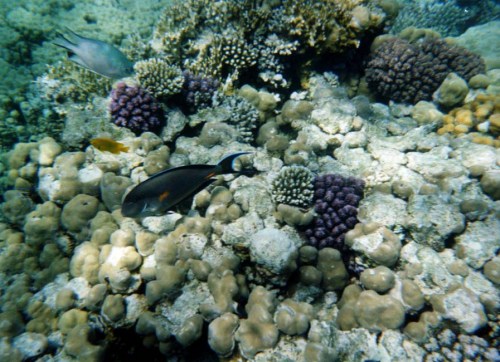
Alla mattina ci svegliamo di buon ora, ma pur non essendo dei pigroni, nessuno di noi due si decideva a scendere un po’ perché avevamo sentito ululare il vento di notte e un po’ perché l’idea di immergerci in una giornata “fredda” proprio non ci allettava. Ma alla fine vinciamo la pigrizia e pronti via a fare colazione nel bel ristorante della sera prima e già dai primi passi, alle 8:30, assaporiamo un bel tepore che ci accompagna lungo il cammino. Finita colazione ci fondiamo in spiaggia, che per altro è lì vicino e recuperiamo dagli addetti, i teli mare e trovato un ombrellone ci apprestiamo a iniziare la nostra 1^ giornata di spiaggia. Io che notoriamente non resisto molto sdraiato al sole vado in riva al mare attirato dall’acqua particolarmente limpida anche a riva e immergo i piedi per tastarla: “oddio un sobbalzo mi prende: è molto fredda, la prima sensazione è quella di aver messo un piede dentro il ghiaccio, infatti a riva in acqua non c’era nessuno; ma tant’è sono cocciuto e non mi arrendo, percorro il pontile galleggiante e arrivo al punto d’immersione per lo snorkelling, c’è in acqua una sola ragazza inglese, che snorkella tranquillamente senza muta vicino al pontile e comunica coi suoi genitori che sono sopra vicino a me, che ha appena visto una tartaruga e io non resistendo alla curiosità le chiedo di che dimensioni è, mi fa segno con la mano un cerchio di circa 50 cm di diametro: incuriosito decido di buttarmi anch’io anche se non ho la maschera e la prima sensazione è che l’acqua sia fredda, ma non come a riva, giro un po’ nel punto che mi ha indicato, ma ovviamente senza maschera non la vedo per niente. Torno a riva comunque contento per comunicare a Paola che sì, con un po’ di coraggio, si può fare il bagno. Paola ha portato da casa una mezza muta che indossa, io ho solo un giubbetto (di quelli che i sub usano sotto la muta per le immersioni profonde), indossatolo anch’io partiamo decisi e ci immergiamo dal pontile con maschera e pinne. Uno spettacolo sublime si apre ai nostri occhi, pesci multicolori e di varie forme e un giardino di corallo in cui  campeggiano regalmente coralli cervello, alcionari rossi, rosa e verdastri, pesci pagliaccio, picasso, damigelle, pesci trombetta di varie dimensioni, 1 pesce leone e piccoli coloratissimi altri pesciolini e vediamo più tardi anche dei carangidi e delle grosse cernie. A me è sembrato anche di vedere due squaletti grigi da barriera che si sono allontanati in fretta, ma non ne sono del tutto sicuro. Snokelliamo per quasi un ‘ora felici e all’unisono con quel mondo meraviglioso silenzioso e maestoso allo stesso tempo. Rientriamo in tempo per provare una cosa che ha sempre desiderato l’immersione, ma non ho mai fatto. Ce n’è una di prova organizzato dal locale padi, proviamo sia io che Paola, ma lei rinuncia perché non si sente sicura, ha un po’ di timore, che ho anch’io, ma che cerco di controllare e una volta superati un po’ di problemi con l’erogatore mi lascio guidare dal sub che mi prende letteralmente di peso e mi fa fare un giro di prova. La sensazione è bellissima, anche se mi sembra di essere un pacchetto trasportato a dx e sx sopra e sotto. Ma la cosa mi piace e decido di iscrivermi al corso di due giorni che si terrà il Lunedì e il Martedì successivi. Dopo pranzo, un po’ di  relax al caldo sole (finalmente) e poi continuiamo a snorkellare, finendo rapidamente la prima delle tre macchine fotografiche sub usa e getta. Lo spettacolo è sempre incantevole, affascinante e ti invita a proseguire sia che vai a dx, sia che vai a sx della barriera, ogni tanto non mancano i punti particolarmente freddi, ma per fortuna sono pochi.
Torniamo felici alla stanza, che nel frattempo è tornata in ordine (asciugamani e acqua calda compresa) e ci prepariamo per il Cenone di fine anno e a quello che succederà dopo.

3° giorno
Alla mattina ci rechiamo in spiaggia non troppo presto (verso le 10:00) anche a causa dei festeggiamenti della sera precedente e approfittando anche dell’annullamento dell’escursione a Ras Mohamed con il bus, organizzato dalla Teorema (con poca convinzione) per mancanza di partecipanti, si doveva partire alle 08:00. Dopo un po’ di relax ci rechiamo sul pontile, appuntamento alle 11: 00 per effettuare lo snorkelling accompagnati dalla guida dell’animazione, percorriamo un bel tratto di barriera corallina verso sx, contro corrente per poi averla a favore al ritorno. Ancora uno spettacolo sublime ci appariva sotto di noi, a una profondità variabile tra i 2 e i 10 mt., si vedevano stormi di pesci multicolore sfrecciare sotto di noi o semplicemente giocare tra i coralli, qualcuno più curioso ci osservava con sguardo stupito (eravamo in un gruppo di una quindicina): bellissimo un pesce balestra azzurro, due pesci angelo imperatore, uno sciame impressionante, sembrava un muro, di “fucilieri di Suez” una specie di grosse sardine locali azzurre e argento, davvero uno spettacolo.
Dopo un’ ora rientriamo e dopo un po’ di sole sulla spiaggia e pranzo ci prepariamo alla visita guidata a Sharm vecchia. Iniziamo l’escursione con la visita all’elegante Moschea di Sharm, una recente costruzione fatta innalzare e arredare molto raffinatamente (mi hanno colpito i marmi che la abbelliscono assai e un immenso lampadario centrale maestoso e riccamente decorato) in onore del Presidente Mubarak, che viene spesso a visitare e nella quale si sofferma a pregare. Un ‘altra caratteristica di questa moschea che, al contrario delle altre erette vicino alle case e comunque al centro delle città,  è stata costruita volutamente in una zona isolata per mantenere una certa riservatezza per le visite del Presidente. Proseguiamo poi per la chiesa Cristiano Copta, di cui la nostra brava guida Michael è un  fervoroso praticante, infatti non perde tempo per spiegarci tutte le differenze tra noi Cristiani Cattolici e loro Cristiani Copti, dal punto di vista estetico essa  è piccola (verrà sostituita da una molto più grande fra un paio di anni) e sorge in mezzo ai quartieri popolari copti, ha un  giardino bello e molto grande all’esterno in cui è rappresentata una natività (per i copti il Natale è il 07 gennaio) a grandezza d’uomo; poi entrati nell’edificio ci si è trovati in una specie di atrio comune, con vari servizi a piano terra, per poi salire al 1° piano dove si trovava la chiesa vera e propria piccola, ma molto ben curata e tutta decorata con colore prevalente il rosso. Michael ci spiegava che il 25% circa della popolazione egiziana è copta (per la mia ignoranza una vera novità, ero convinto che fossero tutti musulmani) e che non c’erano grosse discriminazioni tra copti e musulmani, cosa che non era così fino a 20, 30 anni prima e che i copti hanno addirittura delle agevolazioni dal governo egiziano per poter praticare il proprio culto, tipo quella di entrare in ritardo al lavoro la domenica per poter ascoltare la messa festiva (ricordiamo che per i musulmani il giorno di festa settimanale è il Venerdì). Però ci faceva anche notare che la religione copta è seguita in maniera molto più rigorosa che non, come succede per gli Italiani, col Cattolicesimo.
Dopo la visita alla chiesa Copta ripartiamo alla volta di Sharm vecchia, arriviamo e facciamo la prima tappa in un negozio dove ci spiegano e ci fanno una piccola dimostrazione della costruzione del papiro, dalla pianta, di cui si usa la corteccia, al prodotto finito con i vari passaggi, messa a bagno compresa fina ad arrivare al risultato finale del Papiro, che è tale (diverso da quello falso) se ha le strisce della pianta intrecciate orizzontalmente e verticalmente e non in un solo senso, segue poi vendita a noi escursionisti a dei prezzi per quanto ho visto dopo, alti. Ovviamente abboccano in parecchi  e non usciamo più da quel primo negozietto. Finalmente usciti inizia il giro della città, nel frattempo è tramontato il sole ed è decisamente notte. La città si è come ravvivata improvvisamente è tutto un brulicare di negozi e negozietti, dai mille colori e dai mille articoli all’interno, non c’è un negozio per un solo genere (forno a parte, per il pane e i negozi di alimentari) tutti tengono di tutto e tutti fanno a gara per farti entrare nel negozio con la scusa di guardare soltanto e con la speranza di appiopparti qualcosa, all’inizio è simpatico, ma alla lunga diventa fastidioso. Alla metà circa di questo girovagare fra i negozi, si apre uno spiazzo “artistico”, nel quale ai visitatori è offerto uno spettacolo (un po’ consumistico), ma decisamente carino: sulla montagna sono state piazzate tutta una serie di faretti che la illuminano in moltissimi punti e sotto di essa è stato ricavato una specie di locale notturno con bar e vari negozi, con accesso regolato da un ponticello eretto su un corso d’acqua artificiale generato da una cascata che scende giù dalla montagna illuminata. Non c’è che dire se volevano ottenere un effetto scenografico, ce l’hanno fatta. Finito il tour ci viene concessa una mezz’ora per lo shopping, qualcuno ovviamente ne approfitta e finiamo col rientrare in albergo tardi. Pazienza gli inconvenienti del gruppo. Cena e a teatro a vedere lo spettacolo organizzato dall’animazione: il Gioco delle Coppie una sorta di imitazione dello spettacolo televisivo di Marco Predolin. Devo ammettere che sono andato piuttosto scettico, su consiglio di Paola, ma ci siamo divertiti tantissimo, ci hanno fatto sbellicare dalle risate complimenti a tutti e soprattutto alle quattro coppie di turisti che si sono prestati al gioco davvero simpaticamente. A nanna verso mezzanotte.

4° giorno
Ci svegliamo di buon ora (per essere in vacanza), intorno alle 8:00 e un’ora dopo siamo già in spiaggia dopo una bella colazione. Io sono trepidante per 2 motivi: 1) è il mio 1° giorno  di corso sub al quale mi sono iscritto nel villaggio vicino dove c’è un diving padi gestito da dei ragazzi italiani a prima vista molto simpatici ed esperti e 2) è un po’ legato al primo, perché attendo con impazienza che Sabri mi porti notizie della mia maschera dato che inizierò il corso alle 10:00 e presumo che la maschera mi serva. Il giorno prima nel fare la doccia sulla spiaggia ho appeso la maschera ad un appendino per i vestiti, ma è caduta e si è rotta. Ero disperato visto che ho le lenti graduate nella maschera e che con una normale non vedo quasi nulla. Per fortuna mi sono recato da Sabri, che si è offerto di trovarmi una soluzione comprandone una a Naama Bay  e poi sostituendo le lenti originali con le mie graduate. Sabri è fantastico riesce a riconsegnarmi una maschera nuova, uguale identica alla mia precedente della Cressi, su cui è riuscito a far innestare le lenti graduate di quella rotta, proprio alle 10 meno 10, giusto in tempo per potermi recare all’inizio del corso di Sub al quale arrivo con pochi minuti di ritardo. Devo aprire una parentesi, perché non è più la prima volta ormai per ora, nella nostra vacanza che abbiamo incontrato due persone gentilissime le quali ci hanno aiutato (abbastanza disinteressatamente, e credetemi qui a Sharm, ma credo in tutto l’Egitto è piuttosto difficile ) a risolvere piccoli problemi contingenti che però avrebbero potuto rovinarci la vacanza (vedi maschera graduata) o semplicemente un’escursione e verso i quali nutriamo una gratitudine sincera e dei quali credo non ci dimenticheremo: uno è il Sabri già citato, un locale sui 30 anni che gestisce una agenzia escursionistica privata “la Stella del Mare” che lavora all’interno del Blu Conrad e Michael un altro locale cristiano Copto, ci tiene molto a far conoscere la sua religione, più giovane sui 25, 27 anni che  fa la guida per le escursioni della Teorema. Parlano entrambi un buon italiano e sono sempre pronti a tenderti una mano quando tu glielo chiedi.
Torniamo al corso sub, lasciata Paola a godersi una mezza giornata rilassante sulla spiaggia, mi accingo con un po’ di timore e tanta curiosità a iniziare il mio corso. Andrea il capo diving Achille e Nicola si dimostrano subito molto preparati e disponibili, Andrea tiene i primi rudimenti teorici, molto interessanti e poi calziamo la muta completa, pinne, maschera e bombola (non l’avevo mai fatto, che fatica!!!) e ci immergiamo in piscina bassa per la prima lezione pratica e qui iniziano un po’ di problemi per me, ma con l’aiuto paziente di Nicola in particolar modo (grazie) e Andrea mentre Achille curava di più un gruppo di 3 tedeschi, riesco lentamente a superarli, anche se non credo di aver ancora del tutto appreso la tecnica di togliersi l’erogatore sott’acqua per poi rimetterlo. Finiamo la mattinata con un filmato seguito da una breve prova teorica scritta e prendo 9/10. Soddisfatto, rientro con Antonio, un collega di corso al Blu Conrad, dispiaciuto di non poter proseguire il corso il pomeriggio perché abbiamo in programma la motorata nel deserto. Dopo il solito gradevole pranzo ci prepariamo alla motorata; l’appuntamento è alle 15:00 alla Hall del villaggio. Siamo in molti, più di 30 e manca Antonio con sua moglie, mi aveva assicurato che ci sarebbe stato, avrà preferito portarsi avanti col corso Sub. Partiamo con 20’ di ritardo col pulmino del Conrad verso il luogo del noleggio delle moto a 4 ruote motrici. E qui è un bailamme, moto vecchie e insufficienti per tutti, confusione e inadeguatezza dei locali, per fortuna c’è Michael che con il suo dinamismo riesce a farci partire alle 16.15. Abbiamo almeno 45’ di ritardo sulla tabella di marcia, le moto sono una vera schifezza, la mia ha le convergenze a pezzi e sbanda continuamente verso sx, alcune sono rotte nel telaio, altre nel motore tant’è che qualcuno di noi rimane a piedi. Però inoltrandoci nel deserto, nonostante un traffico esagerato di queste moto (ovviamente di altri resort) l’atmosfera magica un po’ ci pervade e dopo una sosta inutile in una discoteca, ci dicono sorta dal nulla pochi anni fa, ci godiamo un bel tramonto sempre viaggiando in colonna, ma ci perdiamo la Valle dell’Eco, intasata da altri motoristi e finiamo per prendere il famoso the nel deserto in una tenda beduina. È un momento molto toccante, siamo sdraiati sui loro tappeti e ci viene servito dopo poco uno squisito the arabo. Dopo la sosta e le foto di rito in quell’atmosfera così particolare, rientriamo (nella confusione a me e Paola e toccata un’altra moto che non tiene il minimo, per cui al minimo va avanti da sola, va forte e i freni praticamente non esistono, con qualche preghiera rientriamo al luogo del noleggio e poi in albergo un po’ stanchi. Doccia e via per la cena. Dopo cena andiamo ad assistere allo spettacolo di cabaret dell’equipe di animazione. Se sarà bello come quello della sera precedente, il divertimento è assicurato. In effetti lo spettacolo è stato carino, non bello (secondo me) come quello della sera precedente, ma sicuramente godibile, c’era pure l’opzione per chi desiderava, di continuare la serata notturno nel locale di Smaila, qua a Sharm, ma noi non abbiamo aderito e abbiamo scelto per il riposo.


5° Giorno
Oggi è stata una giornata dedicata al relax: sulla spiaggia, soprattutto da parte di Paola, mentre io ho  proseguito il corso sub in mattinata in piscina e il pomeriggio al mare con risultati alterni, secondo me faccio ancora parecchi “casini”, ma gli istruttori sembrano fiduciosi. Vedremo domani.
La giornata dal punto di vista atmosferico si è sviluppata in maniera abbastanza anomala per Sharm: di notte abbiamo avuto il vento, anche forte, sentivamo ululare dalla camera (e fin qua nulla di strano), di giorno il vento ha continuato, e anziché spazzare il cielo dalle nubi, ha portato dei nuovoloni a coprire il cielo fino ad arrivare a minacciare pioggia!?!?! e comunque a portare un bel freddo sulla spiaggia, tanto da non poter rimanere in costume, per poi dischiudersi un po’ prima del tramonto e a mostrare nuovamente un cielo limpido. Terminiamo con la solita cena. E spettacolo successivo.


6° Giorno
Oggi è prevista nel pomeriggio l’attesa escursione con barca all’isola di Tiran, situata proprio di fronte alla nostra bellissima spiaggia (e barriera) di Ras Nosrani, ma che volete, io e Paola non abbiamo mai fatto una vacanza esotica (dalle Maldive, alla Polinesia a Los Roques –Caraibi- )senza beccarci almeno una bella pioggia, e così anche a Sharm, dove piove 3 o 4 giorni l’anno in tutto, abbiamo la disavventura di imbatterci in uno di questi giorni. Non un acquazzone e via, ma una tipica giornata d’autunno di casa nostra, solo con una temperatura intorno ai 20-22° (era nettamente più caldo in acqua) con scrosci di pioggia alternati a nuvoloni e vento che sono durati almeno fino alle 3 di pomeriggio e che mi hanno rovinato l’immersione. Verso le 11:30 si è aperto leggermente il tempo e un amico Antonio, conosciuto al corso Sub mi propone una bella snorkellata in corrente da un pontile a quello del villaggio vicino (circa 300 mt.), partiamo in 5 Antonio, sua moglie, Dennis e consorte ed io, Paola ha beccato la dissenteria (anche se non in forma grave) e preferisce non venire: peccato per lei, si perde un’uscita coi fiocchi e contro fiocchi, il mare è decisamente più caldo della temperatura esterna (o di quello che il vento ce la fa sentire) e la discesa lungo la barriera corallina è da mozzafiato, con visione di molte specie di corallo: cervello, porites, a lattuga, gli acropora, i terribili coralli di fuoco ed altri ancora e di una moltitudine di pesci variopinti dai pesci farfalla, ai pesci angelo, ai carangidi, varie misure di cernie, pesci pipistrello, pesci pappagallo pesci balestra di barriera e una quantità impressionante di pesci piccolini e multicolori, bianco-neri, gialli, castagnole rosse e verdi, a pelo d’acqua innumerevoli pesci trombetta,  un acquario meraviglioso ed enorme, dimenticavo ancora branchi di fucilieri di Suez e enormi e fittissimi branchi di piccole acciughe (mi sembra che qua li chiamino pesci di vetro) che si aprivano al nostro passaggio come tende magicamente spostate, ovviamente in caccia c’erano i voraci e velocissimi carangidi. Dopo questa esaltante snorkellata rientriamo a piedi al nostro villaggio giusto in tempo per prenderci un altro bello scrollane di pioggia, così che la mattinata è andata. Pranziamo con la speranza che il tempo cambi in modo da poter fare l’escursione a Tiran, ma niente, continua a piovere e allora ci ritiriamo in camera, per nulla attirati dai giochini proposti dall’animazione. Riposino e verso le tre col tempo un po’ migliorato e un pallido sole che fa capolino ci spinge a fare una bella passeggiata verso nord al villaggio confinante  verso la spiaggia di Ras Ghamilla è una passeggiata molto bella in uno dei pochi tratti di costa non costruiti, dove il reef costantemente a 100 mt da riva si allarga moltissimo una formando un’ansa di centinaia di metri dove si apre una vera e propria laguna che prende i colori, verde, turchese, azzurro classici delle lagune coralline: chiaramente non ci facciamo scappare l’occasione per fare delle foto e anche un po’ di riprese video: giungiamo infine nel villaggio Bravo Club di Sharm, molto diverso dal nostro architettonicamente parlando, ma altrettanto bello e recentissimo: popolazione turistica prevalente italiani e russi (come da noi, anche se nel nostro villaggio gli italiani erano in maggioranza ). Rientriamo in tempo per preparaci per la cena. Dopo assistiamo ad un altro bello spettacolo dell’animazione che riprende il tema di Happy Days con tanto di Fonzie, Richie, Pozzie,  Ralf e compagnia. Ma la cosa a cui teniamo di più e che ci tiene un po’ in ansia è come sarà il tempo l’indomani che è anche l’ultimo giorno di vacanza e abbiamo in programma l’escursione più bella e più lunga: il Parco di Ras Mohamed, in barca!!!!!! Definito dai locali l’ottava meraviglia del mondo. Speriamo bene!


7° giorno
Ci svegliamo presto, alle 7:00, la partenza per Ras Mohamed è prevista per le 8:20, è finalmente una bella giornata. Ci prepariamo, andiamo poi a recuperare gli asciugamani alle 7:30, la spiaggia è pressoché deserta, solo qualche turista che fa running e qualche temerario a cui non piace dormire troppo, dopo colazione siamo abbondantemente in anticipo sull’orario, alle 8:00 siamo presenti nella hall del resort, in compagnia di tutti gli altri amici italiani che avevano prenotato l’escursione via terra col pulmann. A noi sembrava un’idea migliore andare a visitare il Parco Marino di Ras Mohamed con la barca anche se l’escursione durava tutto il giorno e costava esattamente il doppio dell’altra, perché ci sarebbe stata la possibilità di vedere più cose ed effettuare snorkelling in più punti. Poi vedremo dopo che non sarà stato propriamente un vantaggio. Alle 8:15 partono i nostri amici italiani col pulamnn della Teorema, in ritardo di 15’ buoni, noi rimaniamo soli, 8:20, 8:25 siamo sempre soli nella hall e nessuno si vede, cominciamo ad aver dei dubbi e la frustrazione mi assale perché è anche l’ultimo giorno pieno di vacanza, per cui o facciamo l’escursione oggi o salta. Alle 8:30 decido di scendere in spiaggia per andare al gazebo della Stella del Mare con cui avevamo prenotato l’escursione, mi chiedono la ricevuta, gliela mostro e mi dicono che non c’è problema e l’escursione si fa, torno nella hall e alle 8:40 finalmente arriva la nostra guida, un ragazzo giovane egiziano con i capelli rasta che parla poco e pochissimo l’italiano e l’inglese così così; si fa comunque capire e richiestaci la ricevuta ci fa segno di seeguirlo, che saremmo andati a Naama Bay, al porto ad imbarcarci. La cosa ci è sembrata strana visto che il nostro resort è sul mare ed ha un pontile lungo 100 mt, con un fondale di almeno 8 mt. Ma dobbiamo seguirlo. Facciamo un giro lunghissimo fino ad arrivare ad un altro resort a Shark bay, pensiamo salirà qualcuno con noi, ma niente, la guida carica solo un borsone, poi finalmente arriviamo al porto, passando nelle viuzze interne della città. Naama bay ci era stata dipinta maluccio, ma si dimostra invece, tutto sommato, una gradevole cittadina, peccato non aver tempo per poterla visitare meglio. Scendiamo dalla navetta che ci ha accompagnati e assieme alla guida mi reco in un negozio sul porto per acquistare una macchina fotografica sub, ho dimenticato in albergo la mia; solita interminabile querelle con gli egiziani di turno a contrattare il prezzo della macchina (volevano 20€, in Italia l’avevo acquistata uguale identica a 10€), alla fine gliene do 12 per una di marca diversa la cui differenza è che anziché a 15 mt, arriva fino a 6 mt. Per l’uso che ne facciamo noi va più che bene. Passato il controllo della polizia ci addentriamo sul pontile colmo di barconi tutti pronti a salpare in direzioni turistiche e carichi di turisti festanti e chiassosi. Il nostro è l’ultimo della fila, si chiama Happy Man, ed è anche il più scalcinato. Saliti a bordo ci fanno giustamente togliere le scarpe e a piedi nudi restiamo gli unici “proprietari” della barca per almeno un’ora; dopodiché arriva un gruppo di dodici, tredici russi che completano l’equipaggio di passeggeri e dopo altri 40’ finalmente si salpa. Riassumiamo, sveglia alle 7:00, ritardi e lungaggini varie, partenza per Ras Mohamed alle 10:40!!!! Niente male!!!!
La navigazione è calma e tranquilla (tant’è che io mi addormento) ogni tanto mi ridesto per fotografare qualche bel paesaggio, mentre Paola fa le riprese video: in genere ci dividiamo così i compiti tecnologici. Durante il tragitto si presenta a noi Misha l’unico che parla italiano a bordo, è la vera guida della spedizione. È un egiziano giovane, avrà poco più di 20 anni, ma molto spigliato, ci spiega che è stato già due volte in Italia a Roma all’isola d’Elba e all’isola del Giglio una prima volta e a Napoli e Benevento la 2^, ma ha trovato che ad Agosto c’è molto caos in Italia (e te credo!!! E gli spiego perchè) e poi che fa freddo, lo capisco abituato alle temperature del Mar Rosso. Misha  ci propone il programma della giornata: il parco di Ras Mohamed è vastissimo e ha 17 siti di snorkelling e immersioni diversi. Oggi, ci dice, faremo una 1^ tappa di in un’area dove si dovrebbero apprezzare i coralli in modo particolare, poi una seconda in un’insenatura più chiusa dove dovrebbero esserci più tanti pesci e, dopo il pranzo intorno alle 13:30, una terza non meglio definita. Effettivamente la giornata si svolge proprio così, ma le tappe dello snorkelling, tanto desiderate, purtroppo non si rivelano un granchè perché la piccola burrasca che c’è stata il giorno prima, oltre alla pioggia già citata, ha mosso parecchio il mare per cui c’è molta sospensione e la visibilità in certi punti è torbida e in altri proprio non c’è, per cui restiamo molto delusi da tutti i 3 punti di snokelling. Torniamo in porto puntuali per le 16:30 e in albergo per le 17:00, nonostante becchiamo una coda non da poco: pare sia arrivato a  Sharm il Presidente Mubarak. C’è moltissima polizia in giro, molto più del solito (e già non è poca) e diversi posti di blocco. Superiamo comunque tutto indenni e lasciamo la nostra guida ringraziandola e omaggiandola con la solita mancia, direi quasi inevitabile in Egitto appena ti muovi. Alla sera ritroviamo i nostri amici Italiani che erano andati col pulmann e loro sembravano contenti della gita, intanto avevano visto il lago salato, e un altro monumento importante all’inizio della città e avevano fatto snorkelling partendo da riva e trovando l’acqua più limpida hanno visto tanti bei pesci  e coralli. Concludiamo la serata a teatro a gustarci l’ultimo spettacolo dei bravi animatori condotta da Giacomo, il capo villaggio. L’argomento è un musical che ha come tema l’attacco dei Giapponesi a Pearl Harbour, trasformando in parodia il famoso film che derivò all’evento un po’ di anni dopo. Il risultato è una divertente trasposizione in cui i temi base sono abbastanza rispettati e c’è quel pizzico di fantasia e ironia da farci divertire. Questi ragazzi si sono dimostrati davvero bravi nel corso di tutta la settimana. Paola ed io non abbiamo mai partecipato agli eventi in spiaggia, non rientra nelle nostre caratteristiche di vacanzieri, ma loro a parte qualche garbato invito non sono stati mai pedanti e/o insistenti, e alla sera hanno sempre proposto degli intrattenimenti gradevoli e anche arrangiati piuttosto bene, sia scenograficamente che musicalmente. Alla partenza dal villaggio gli abbiamo fatto i complimenti (non eravamo i soli), ma credo se li siano realmente meritati.


8 giorno
E’ l’ultimo giorno della nostra vacanza e non intendiamo perderlo, ma certamente cercheremo di sfruttarlo al massimo,. Dobbiamo lasciare la camera alle 12:00. allora ci svegliamo di buon ora e prepariamo i bagagli lasciamo fuori l’attrezzatura per lo snorkelling e poco altro, via a farci una bella, ricca (e ultima colazione, sigh!!!) e poi via in spiaggia. È una mattinata stupenda, forse la migliore da quando siamo a Sharm. La burrasca di 2 giorni fa oltre ad averci rovinato lo snokelling a Ras Mohamed, ha lasciato in spiaggia un ulteriore sgradito regalo: il mare lungo, che non dà problemi fuori dalla barriera, ma sul reef provoca dei begli “ondoni” e a terra invade la zona destinata alle sdraio e ombrelloni per cui siamo tutti ammassati a ridosso del bordo che delimita il vialetto di percorrenza comune. Recuperate due lettini ci troviamo uno spazietto e ci piazziamo: notiamo con curiosità i laghetti che forma sulla spiaggia arginata alla bel e meglio dagli industriosi operai del resort. Un po’ di sole sui lettini (però io non resisto a lungo all’attrattiva di buttarmi a fare snorkelling) e poi via sul pontile con maschera e pinne per l’ultima snorkellata. Paola mi segue con l’attrezzatura, ma non è molto dell’idea di tuffarsi, infatti è da un paio di giorni che soffre di una leggera dissenteria e non vuole aggravare la situazione a contatto con l’acqua fresca. Sono un po’ preoccupato perché non c’è nessuno in acqua a snorkellare (forse un po’ per l’ora presta, forse un po’ spaventati dalle onde a riva o ancora non invogliati dall’acqua che verso riva è proprio torbida), ma dopo il pontile invece è come al solito limpida. Prendo coraggio attirato da ciò che vedrò sotto e mi tuffo, subito lo spettacolo è meraviglioso, nettamente superiore sia per quantità e taglia di pesci, che per varietà di corallo a quello visto il giorno prima a Ras Mohamed.  Sto più di un ‘ora in acqua a girovagare a dx e sx spingendomi anche in fuori e lo spettacolo è stupendo. Dopo un po’ mi raggiungono anche Antonio e sua moglie e insieme continuiamo a girovagare seguendo la corrente (non forte) e lasciandosi trasportare attirati da quel meraviglioso gigantesco acquario. Tra le varie meraviglie vediamo tre pesci leone, una tartaruga e un grosso pesce pietra che un po’ nuotava e un po’ cercava di mimetizzarsi su un fondale sabbioso, tra due blocchi di corallo a circa 15 mt. Di profondità. E la visibilità era buona. Dopo questa ultima meravigliosa nuotata, rientriamo sulla spiaggia ultima oretta di sole e poi via a preparare le ultime cose prima di lasciare definitivamente il villaggio e Sahrm, felici per aver passato una bella settimana di vacanza.
 

Cosa c’è piaciuto:
• il villaggio morfologicamente ben strutturato e ben integrato nel contesto della spiaggia e dell’ambiente circostante;
• il ristorante che proponeva cibi vari e abbondanti (servizio a buffet)e  soprattutto pochissima dissenteria (Paola l’ha presa per cibo consumato fuori dal ristorante);
• la STUPENDA BARRIERA CORALLINA di Ras Nostrani e lo snorkelling che si poteva di conseguenza praticare;
• tutto sommato l’animazione che è stata poco invasiva (noi non abbiamo mai partecipato ai giochini sulla spiaggia, attratti da cose che ritenevamo migliori da fare), ma abbiamo spesso partecipato agli spettacoli serali, tutti di buona qualità e piuttosto divertenti.
• La bella spiaggia di Ras Nostrani e l’organizzazione per quanto riguarda teli mare, lettini e ombrelloni non del tutto appiccicati;
• Le escursioni organizzate dalla Teorema (prezzi competitivi con quelle locali e nettamente migliore organizzazione).
• La temperatura dell’aria gradevole di giorno (c’è sempre un bel venticello), non il caldo soffocante delle zone tropicali classiche, e freschino la sera, bastava un golf di cotone, ma io spesso stavo a mezze maniche anche la sera.
• La temperatura dell’acqua, che temevamo in modo particolare, invece dicono sia sui 24°. Basta dotarsi di mezza muta che si sta tranquillamente in acqua anche un’ora. Io, che soffro meno il freddo, spesso ho fatto snorkelling anche solo con il costume. Per chi è più freddoloso meglio la mezza muta.

Cosa non ci è piaciuto:
• La posizione della stanza, dava sul campo da calcetto e basket del villaggio, per cui eravamo spesso allietati dalle urla di chi giocava;
• L’organizzazione dei servizi della camera che ci ha lasciati due, tre volte senz’acqua e senza asciugamani (1 delle quali all’arrivo, quando secondo me devi presentare al meglio la struttura e devi far sentire a proprio agio il turista o viaggiatore che sia probabilmente stanco del viaggio e desideroso di farsi una doccia);
• L’escursione a Ras Mohamed mal organizzata, troppo tempo buttato e scelta dei luoghi da far snorkelling casuale e non adattata alla situazione atmosferica. Poteva essere migliore sotto molti punti di vista.
• Il viaggio di andata proprio mal concepito (in più si è beccata un’ora di ritardo aggiuntiva a Malpensa) e in un aereo della BLU Panorama, veramente scomodo stretto lateralmente e con pochissimo posto davanti a sé (io ho viaggiato sia all’andata che al ritorno con le ginocchia piantate nello schienale di fronte a me per la gioia del passeggero seduto davanti), tanto che ci ha fatto praticamente perdere la 1^ giornata di vacanza.
• Il fatto che per l’ennesima volta (per non smentire la tradizione ) anche in Egitto !?! siamo riusciti a prendere la pioggia!!! Ma questo non dipende da nessuno.
• L’invadenza dei venditori egiziani che non ti lasciano tranquillo per niente ad osservare i loro negozi e sono sempre in cerca di appiopparti qualche loro oggetto, inventandosene di tutti i tipi.
Spesa, tutto compreso e calcolando che siamo nel periodo del capodanno dove tutto costa di più, € 1.200,00 a testa.
...arrivederci Sharm !